Description
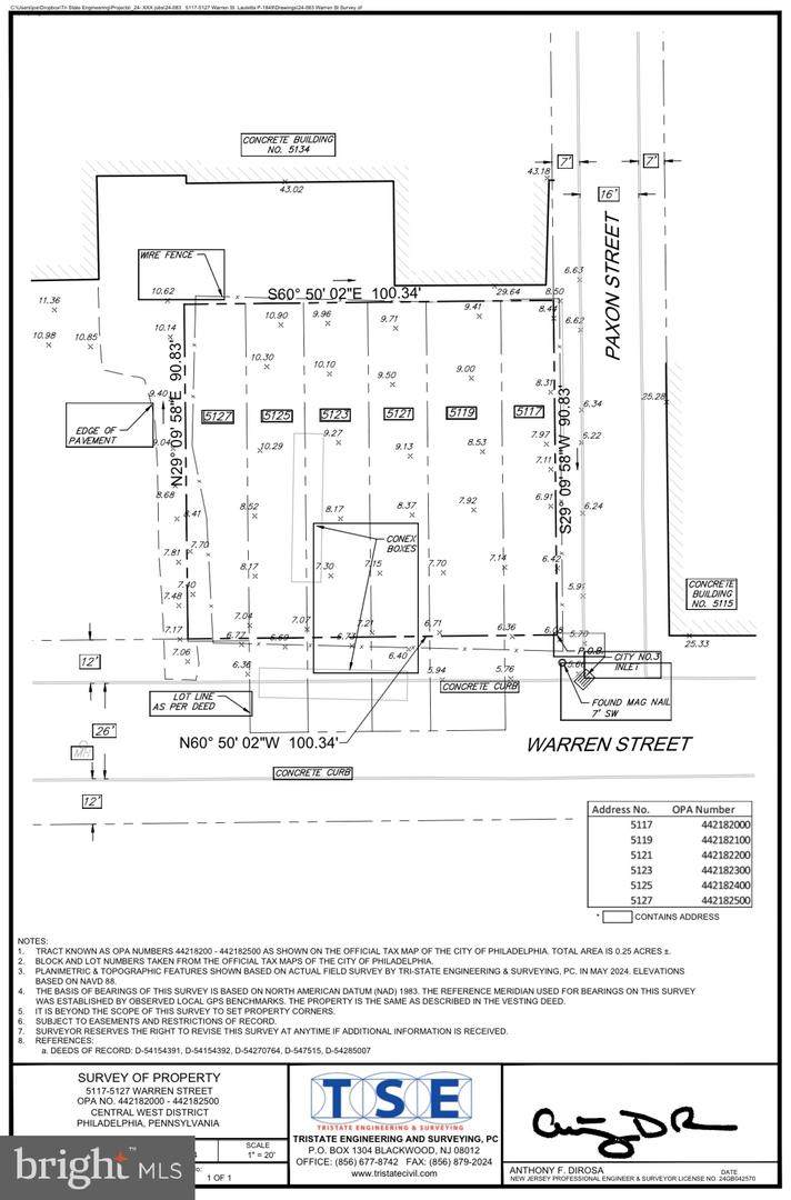
5117–5127 Warren Street – 6-Lot Development Package | Up to 24 UnitsRare opportunity to acquire six consecutive, RM-1 zoned lots in a surging area of West Philadelphia—shovel-ready and fully cleared. Located just one block off the bustling Lancaster Avenue commercial corridor, this stretch of Warren Street is surrounded by new construction, strong rental demand, and major development momentum.This site comes with professional site planning and preliminary architectural renderings that support a 24-unit multifamily building. The proposed mix includes studios, 2-bedroom, and 3-bedroom units—perfectly suited for the neighborhood’s growing demand for workforce housing and student housing.Positioned within a Qualified Opportunity Zone (QOZ) and eligible for accelerated depreciation, this is an ideal project for long-term investors looking to build equity and generate significant tax benefits. (Buyers should consult their tax professional.)Highlights:6 contiguous lots (5117–5127 Warren St) zoned RM-1Preliminary site plan and renderings available for a 24-unit apartment buildingFully cleared and shovel-readyIn a QOZ – major tax incentives + bonus depreciation potentialSurrounded by new construction, including multi-family and mixed-use projectsEasy access to Center City, City Ave, and University CityUnbeatable Location:1 block to Lancaster Ave commercial corridor0.7 mi to ParkWest Town Center (ShopRite, Lowes, Planet Fitness)Minutes to Fairmount Park, the Mann Music Center, Please Touch Museum, and Bala Golf ClubClose to St. Joseph’s University, University of Pennsylvania, Drexel University, and Philadelphia College of Osteopathic Medicine (PCOM)Convenient access to Route 1, I-76, and SEPTA regional rail & trolley linesThis is your chance to control a full development site in a high-growth corridor with proven rental demand and long-term upside. Build a new apartment building in a well-connected, transit-friendly, and amenity-rich neighborhood that continues to see significant public and private investment.
-
0BEDS
-
0.21ACRES
-
0BATHS
-
01/2 BATHS
Description
5117–5127 Warren Street – 6-Lot Development Package | Up to 24 UnitsRare opportunity to acquire six consecutive, RM-1 zoned lots in a surging area of West Philadelphia—shovel-ready and fully cleared. Located just one block off the bustling Lancaster Avenue commercial corridor, this stretch of Warren Street is surrounded by new construction, strong rental demand, and major development momentum.This site comes with professional site planning and preliminary architectural renderings that support a 24-unit multifamily building. The proposed mix includes studios, 2-bedroom, and 3-bedroom units—perfectly suited for the neighborhood’s growing demand for workforce housing and student housing.Positioned within a Qualified Opportunity Zone (QOZ) and eligible for accelerated depreciation, this is an ideal project for long-term investors looking to build equity and generate significant tax benefits. (Buyers should consult their tax professional.)Highlights:6 contiguous lots (5117–5127 Warren St) zoned RM-1Preliminary site plan and renderings available for a 24-unit apartment buildingFully cleared and shovel-readyIn a QOZ – major tax incentives + bonus depreciation potentialSurrounded by new construction, including multi-family and mixed-use projectsEasy access to Center City, City Ave, and University CityUnbeatable Location:1 block to Lancaster Ave commercial corridor0.7 mi to ParkWest Town Center (ShopRite, Lowes, Planet Fitness)Minutes to Fairmount Park, the Mann Music Center, Please Touch Museum, and Bala Golf ClubClose to St. Joseph’s University, University of Pennsylvania, Drexel University, and Philadelphia College of Osteopathic Medicine (PCOM)Convenient access to Route 1, I-76, and SEPTA regional rail & trolley linesThis is your chance to control a full development site in a high-growth corridor with proven rental demand and long-term upside. Build a new apartment building in a well-connected, transit-friendly, and amenity-rich neighborhood that continues to see significant public and private investment.
©2026 Bright MLS, All Rights Reserved. IDX information is provided exclusively for consumers' personal, non-commercial use and may not be used for any purpose other than to identify prospective properties consumers may be interested in purchasing. Some properties which appear for sale may no longer be available because they are for instance, under contract, sold, or are no longer being offered for sale. Information is deemed reliable but is not guaranteed accurate by the MLS or The Lisa Mathena Group. Some real estate firms do not participate in IDX and their listings do not appear on this website. Some properties listed with participating firms do not appear on this website at the request of the seller. Data last updated: 2026-02-06T21:54:06.837.
